A Forma–1-et is elfújhatja az elmúlt évtizedek legnagyobb japán tájfunja
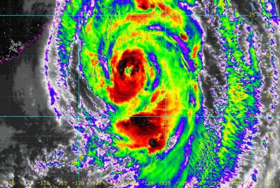
Több mint hatvan éve nem volt olyan heves tájfun Japánban, mint a Hagibisz, amely szombat estére éri el az ország fő szigetének partjait. A hatóságok a legmagasabb szintű készültséget rendelték el.
A trópusi vihart megelőző heves széllökések szombaton felborítottak egy autót, vezetője meghalt a Tokiótól keletre fekvő Csiba prefektúrában – jelentette híradásában az NHK japán közszolgálati televízió.
Ugyanitt négy ember megsérült, amikor a szél tetőket sodort el. Mintegy 7 ezer 200 háztartásban nincs villany a területen, ahol a múlt hónapban a Fakszaj tájfun 30 ezer épületet megrongált és jelentős áramkimaradásokat okozott.
A Hagibisz, amely azt jelenti, hogy sebesség, szombat késő este éri el Japán fő szigetét, Honsút. A vihar magja óránként húsz kilométeres sebességgel mozog, a Csendes-óceánon egyes helyeken a szél sebessége elérte az óránként 260 kilométert. A hatósági előrejelzés szerint ezer milliméternyi csapadék hullhat 24 óra alatt Japán középső részén, Kanto régióban. Mintegy 7,6 millió embernek javasolták, hogy készüljön fel a kimenekítésre, és 1,7 milliónak pedig közvetlen evakuálási ajánlást adtak.
A tájfun miatt a rögbi világbajnokság két meccsét is törölték, valamint a Formula–1-es japán nagydíj kvalifikációs futamát is szombatról vasárnapra tették át, és szombaton minden rendezvény elmarad a szuzukai pályán.
A fővárosban, Tokióban zárva tart az üzletek, éttermek, gyógyszertárak többsége. Nem fogad és nem indít légi járatokat a tokiói Haneda nemzetközi repülőtér.


